Logbook Scuba Dive # 177 - Point Perpindicular Swim Throughs
| Logbook Scuba Dive # 177 - Point Perpindicular Swim Throughs |
| Cylinder Set #1 |
| Cylinder Type: |
Cylinder Size: |
Working Pressure: |
Supply Type: |
| Steel |
12 litres |
232 bar |
Open Circuit (OC) |
| O2: |
He: |
Min. PPO2: |
Max. PPO2: |
| 26% |
0% |
- |
1.4 bar |
EAN 26 |
MOD: |
EAD: |
END: |
| 43.8 m |
40.4 m |
43.8 m |
| Start Pressure: |
End Pressure: |
Diff. Pressure: |
|
| 224 bar |
102 bar |
122 bar |
|
| Avg. Depth: |
SAC Rate: |
|
|
| - |
- |
|
|
|
| Avg. Depth: |
SAC Rate: |
|
|
| 9.98 m |
13.08 litres/min |
|
|
| Gas Mixture: |
| Nitrox 26% |
Boat Name: Ocean Trek, a catamaran style vessel that measures 18 meters in length, powered by two 6-71 Detroit diesel engines giving a top speed of 10 knots.
Flushed with the success of the last dive, we had a go at the entrance site, Point Perpendicular, but the residual swells had the water stirred up.
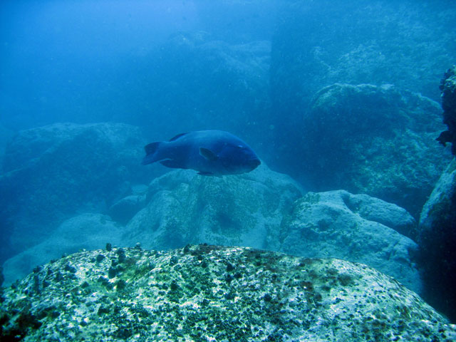
The deep bommies weren’t very attractive, so we made our way up the boulder stacks, reminiscent of the Prom. There were a few nice caves and swimthroughs, but the big schools and friendly Blue Groper were up in the shallows.
|
| |
| |
|
Photo: Benita McDonough
Photo: Benita McDonough
Photo: Benita McDonough
Photo: Benita McDonough
Photo: Benita McDonough
Photo: Benita McDonough
Photo: Benita McDonough
Photo: Benita McDonough
Photo: Benita McDonough
Photo: Benita McDonough
Photo: Benita McDonough
Photo: Benita McDonough
Photo: Benita McDonough
Photo: Benita McDonough
Photo: Benita McDonough
Photo: Benita McDonough
Photo: Benita McDonough
Photo: Benita McDonough
Photo: Benita McDonough
Photo: Benita McDonough
Photo: Benita McDonough
Photo: Benita McDonough
Photo: Benita McDonough
Photo: Benita McDonough
Photo: Benita McDonough
Photo: Benita McDonough
Photo: Benita McDonough
Photo: Benita McDonough
Photo: Benita McDonough
Photo: Benita McDonough
Photo: Benita McDonough
Photo: Benita McDonough
Photo: Benita McDonough
Photo: Benita McDonough
Photo: Benita McDonough
Photo: Benita McDonough
Photo: Benita McDonough
Photo: Benita McDonough
Photo: Benita McDonough
Photo: Benita McDonough
Photo: Benita McDonough
Photo: Benita McDonough
Photo: Benita McDonough
Photo: Benita McDonough
Photo: Benita McDonough
Photo: Benita McDonough
Photo: Benita McDonough
Photo: Benita McDonough
Photo: Benita McDonough
Photo: Benita McDonough
Photo: Benita McDonough
Photo: Benita McDonough
Photo: Benita McDonough
Photo: Benita McDonough
Photo: Benita McDonough
Photo: Benita McDonough
Photo: Benita McDonough
Photo: Benita McDonough
Photo: Benita McDonough
Photo: Benita McDonough
Photo: Benita McDonough
Photo: Benita McDonough
|
| |
|
Field1
|
|
-
|
|
Field2
|
|
-
|
|
Field3
|
|
-
|
|
Field4
|
|
-
|
|
Field5
|
|
-
|
|
Field6
|
|
-
|
|
Field7
|
|
-
|
|
Field8
|
|
-
|
|
Field9
|
|
-
|
|
Field10
|
|
-
|
|
|
 |

|